Posizionamento errato per il controllo della displasia del gomito:
| Proiezione ML non a 45°. La flessione insufficiente determina un oscuramento del processo anconeo per sovrapposizione con il condilo mediale dell'omero, tale da impedire l'evidenziazione di eventuali osteofiti sul suo margine caudale. | ![]() |
| A sinistra: proiezione Cranio- Caudale corretta, obliqua in pronazione. A destra: proiezione Cranio- Caudale errata, obliqua in supinazione invece che in pronazione, dove il comparto mediale dell’articolazione viene oscurato dalla sovrapposizione del corpo dell’ulna e quindi non può essere valutato il profilo mediale del processo coronoideo. | ![]() ![]() |
| Proiezione ML con supinazione dell’avambraccio e condili non sovrapposti, in cui l’obliquità delle strutture articolari impedisce una valutazione della congruenza articolare. | ![]() |
| Sopra: proiezione ML corretta con avambraccio in posizione neutra (carpo flesso e piede contro il tavolo). Sotto: proiezione ML errata con supinazione dell’avambraccio. Il radio prossimale appare in proiezione parzialmente cranio-caudale, in virtù della supinazione, impedendo una valutazione precisa della congruenza articolare. | ![]() |
| Fascio radiogeno non collimato e non centrato sull’articolazione. | ![]() |
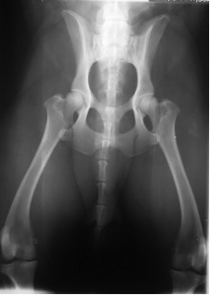
Posizionamento errato per il controllo della displasia dell’anca:
| Asimmetria del bacino. Il lato del bacino in cui il ramo dell’ileo appare più stretto è sollevato dal tavolo radiografico, mentre quello che appare più largo è inclinato verso il tavolo. L’asimmetria del bacino comporta una errata valutazione della congruenza articolare e dell’angolo di Norberg perché migliora artificiosamente la congruenza articolare del lato sollevato e peggiora quella del lato abbassato. |
|
| Eccessiva rotazione interna dei femori: le rotule appaiono sovrapposte alla corticale mediale dei condili femorali; ciò comporta un falso varismo dei colli femorali, aumenta artificiosamente la congruenza articolare e nasconde una eventuale lassità articolare. | ![]() |
| Insufficiente rotazione interna dei femori: le rotule appaiono sovrapposte alla corticale esterna dei condili femorali; ciò comporta un falso valgismo dei colli femorali, ne impedisce la valutazione e riduce artificiosamente la congruenza articolare. | ![]() |
|
Mancato parallelismo dei femori tra di loro che appaionoabdotti e divergenti. Ciò aumenta artificiosamente la congruenza articolare e nasconde un’eventuale lassità articolare. |
![]() |









